Im assuming that Peebles will make a second bid for their affirmation tower
It’s of course not used as a marshalling yard anymore, but I believe the site’s former use was as a marshalling yard when the Highline was still operational, so the name just stuck with it. It’s a bus depot and car parking lot now.
@BK1985 chances are unlikely, thankfully, since Hochul is trying to make the focus of development on the site for affordable housing, much like Site K was.
How likely would it be if Hudson Yards didn’t get a Casinolicense would they still start construction in the next few years?
Imagine scrutinizing a project that will financially help the city, along with boasting that affordable housing people have been begging and demanding since the rise of prices DURING the pandemic times. Hell, this phase two project even has a school, does phase one have that? No, just business and things that make money, which people were very positive about and…well now all of phase one is completed. I do feel like a casino could rock the atmosphere of Hudson Yards and everything around now, the time of the projected completion of phase two and years beyond, but that too will financially help…and politicians BETTER use their and our money in the most righteous and positive way possible. This whole project, while not as much eye candy, is as prominent as the many towers that was constructed in this great city in the 1930’s. I endorse it, and I hope to see it underway and completed
I just like that we don’t have a tower shaped like the Wynn yet in the city and it will be on the waterfront for all to see. It’s curvy, tall, and unique for NYC. Unless Zaha Hadid is going to rise from the beyond it seems the best we can do in that arena. Even Tower C has some nice references to her architecture towards the base and that’s why I was hoping that didn’t get chopped.
Agreed. The Wynn tower reminds me of KPF’s Lotte tower in Seoul a bit!
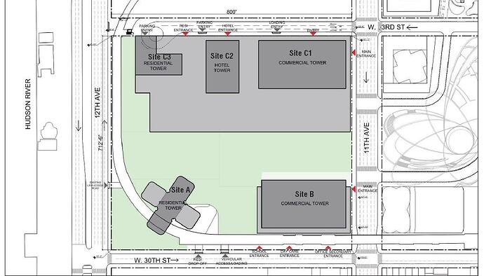
I’ve definitely been coming around to this proposal, especially since they’ve amended it to add more housing. CB4’s biggest issue with it is how Related phrases the addition as “up to 4,000 units” without giving a minimum…
Wynn will not be submitting an application for a gaming license. Their pursuit of a casino at the Hudson Yards is over. The Nimby’s have won.
that’s good news
Will the construction start in June?
I think this will remain an undeveloped site.
The NY Compost says its dead. The NIMBYs got it killed. Such a shame, I liked this one.
So what are they going to build instead now?
This move probably bumped Hard Rock’s proposal as the leading candidate for the third gaming license. I wonder with this announcement, if Hudson Yards can move forward with Phase 2.
Very bad news!
Probably the original phase 2 design. It’s a shame since that Wynn tower was awesome and had a shape found nowhere else in NYC.
News makes me want to vomit
This article has more info than the NY Post one. Sounds like they still intend to continue with phase 2, saying it can be “shovel ready by next year.” They’re moving forward with the 4000 housing units they added in the most recent redesign and expanding the amount of public space. I’m not sure if this means they are completely scraping the hotel/casino tower and replacing it with more park space, or if they’re completely resigning the whole project.
Notably, Friends of the High Line, the most vocal NIMBY group against this, are still unsatisfied with this new deal.
Of course they are. People like this are never happy. Ironically redevelopment is the only reason the High Line exists
What a shame. Easily the best proposal by a mile.



