The pedestrian volume is very apparent too, along with traffic. Even at night, streets are quite busy.
This is inching towards completion. I don’t know what the interior status is but they’re nearly done with the outside.
These are from a few weeks ago
These two turned out well, they really stand out because of the darker materials used. I just hope the rest of the towers won’t also look the same. Whenever that will be lol
That would be unfortunate if they were all identical. I hope they have some height variation as well. Wouldn’t hurt them to do a bit more with the rooftop element either.
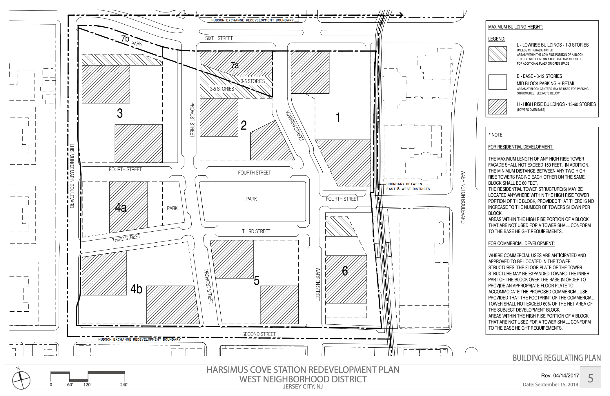
Agreed. They are allowed to build some of the towers up to 60 stories under the zoning. Hope they take advantage of it. However, the taller they build one building, the shorter they have to build another building, to stay under the allowed floor area cap.
Any news on the other towers to be built?
Tower 2 complete and open for leasing.
They also redid the street/parking area in front of the building in an odd and inexplicable way. However, they did add a bunch of stop signs, which will hopefully make it so people stop flying around here
The road pattern may be because the future plans have the shoprite and BJ’s also succumbing to the overall site, so they may be thinking ahead there
For sure that’s the reason - the thing that’s weird is that street where the minivan is on the left. It goes into a stop sign (right around where he is) when you can also get to the same place from where I’m standing. It just looks weird for now but maybe the future buildings are the reason
Don’t know where the thread for the future phases is -
I’m wondering which tower would be next, and when. It was interesting, therefore, to see this soil tester right in the Shoprite lot (close to Marin Blvd)
I don’t see anything new on the portal or in Planning Board… but that’s interesting! After Phase 2, there’s not a lot of new information on which tower goes up next. The easiest would be the parking lot in front of BJ’s since it’s just open land.
























